News 安全評價報告查詢
曲靖龍恒商貿有限公司經營危險化學品安全現狀評價報告
發布日期:2024-09-06 點擊次數:105

安全評價機構安全評價工作業績表

評價項目基本情況

項目名稱

曲靖龍恒商貿有限公司經營危險化學品安全現狀評價報告

合同編號

DAAPQJ2024-23

合同簽訂時間

2024年7月18日

評價行業

危險化學品

評價報告提交完成時間

2024.8.5

評價類別

安全現狀評價

項目所屬地址

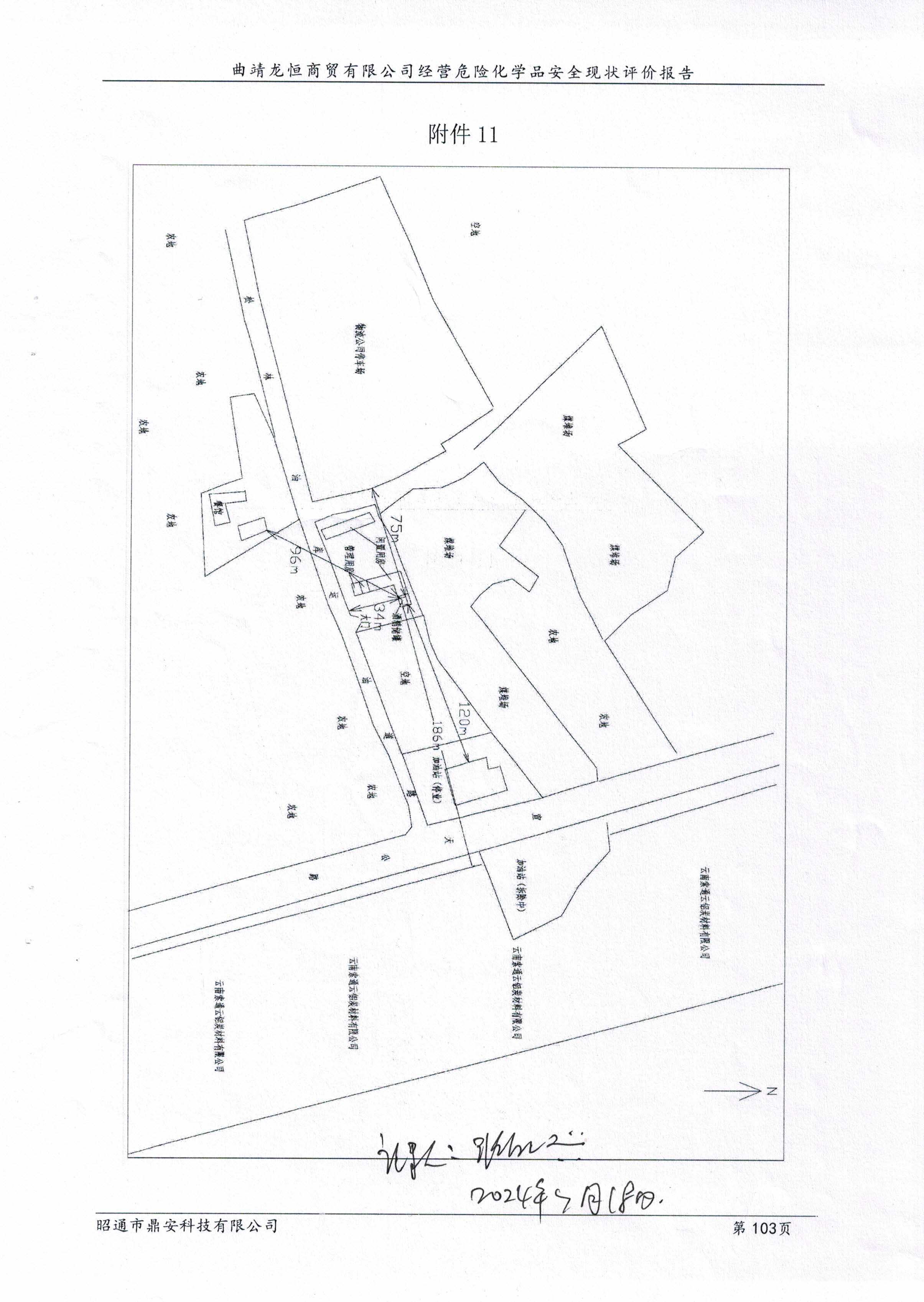
云南省曲靖市沾益區花山街道松林社區松林油庫岔路口

評價人員

項目負責人

張紅興

評價組長

張紅興

技術專家


評價報告編制人

張紅興

評價組成員

向榮鼎、毛衛旭、崔巍、陸朝春

現場勘查情況

現場勘查開始時間

2024718

現場勘查結束時間

2024718

現場勘查人

張紅興、崔巍

業主陪同人

鄒生龍

現場勘查情況

無人機航拍公司及周邊平面照片,查看乙醇儲罐周邊環境,查看卸車區、罐區、液位計、分裝區現場情況,查看安全管理資料。

報告審核情況

內審

內審意見( 通過  口 不通過 )       是    口 否

過程控制審核

內審意見( 通過  口 不通過 )        是    口 否

技術負責人審核

內審意見( 通過  口 不通過 )       是    口 否

隱患:

1)現場部分安全標識牌老化;

2)防雷檢測報告超期;

3)安全責任險超期。

整改措施建議

1)更換現場老化的安全標識牌;

2)重新進行防雷檢測;

3)重新購買安全責任險。

評價結論為:依據《中華人民共和國安全生產法》、《危險化學品安全管理條例》、《危險化學品經營許可證管理辦法》、《危險化學品經營企業安全技術基本要求》(GB18265-2019)、《易燃易爆性商品儲存養護技術條件》(GB17914-2013)、《建筑防火通用規范》(GB55037-2022)等法規、標準,從安全的角度曲靖龍恒商貿有限公司達到危險化學品經營的要求,具備安全經營條件。

曲靖龍恒商貿有限公司現場勘察記錄2.jpg

曲靖龍恒商貿有限公司現場勘察記錄1.jpg

曲靖龍恒商貿有限公司部分現場勘查照片.jpg

03版-曲靖龍恒商貿有限公司現狀報告(饒工李工內審修改稿).pdf



聯系我們
  • 地址:
    昭通市昭陽區昭陽大道336號(新華書店二樓)
  • 電話:
    0870-3170896
關注我們
移動官網
版權所有©2021  昭通市鼎安科技有限公司 滇ICP備17009229-1號